猫的膀胱结石
猫的膀胱结石
猫膀胱结石基本上都为碎石,偶有较大结石,发生膀胱结石的原因尚未完全清楚,一般认为与尿路感染、病变,矿物质代谢紊乱,尿pH值改变有一定关系。结石的中心可能与炎症反应有关,尿中细菌和炎性产物积聚,可成为盐类晶体沉淀的核心, 之后如尿液中含钙量过高,或夏季饮水不足,尿液中盐类浓度过高等,导致结石增大。同时尿液pH值如偏碱性则促进结石的形式,尿液中尿素,如尿液潴留时间过长,则尿素分解成氨,使尿变成碱性,使一些在碱性条件下不易溶解的盐类析出,盐类晶体沉淀,促进结石的形成。
临床症状:
膀胱结石合并尿道阻塞在临床上主要表现为:患病的猫精神沉郁,厌食或停食,体温前期一般正常,而后表现症状时体温升高,后期发生尿毒症后体温下降至死亡;尿道不完全堵塞时,有时呕吐,不愿饮水但有饮欲,排尿困难、痛苦和时间延长,尿频,但量少,尿液呈滴状或线状,有时有血尿,晚上睡觉时不自觉排尿,白天发现窝内已尿湿,尿液含有很浓的氨味;尿道堵塞时,呕吐,食欲废绝;腹围一般增大不明显,触摸紧张有疼痛感,仔细检查可感到充盈的膀胱。不及时治疗可因为尿毒症而死亡。
治疗:
(1)未发生尿道堵塞的猫,可给予富含维生素A的食物,同时喂给排石中药,并给大量清洁的饮水,同时注意观察排尿情况及临床症状。
(2)发生尿道堵塞或膀胱内有较大的膀胱结石的猫,应尽早做手术取出结石
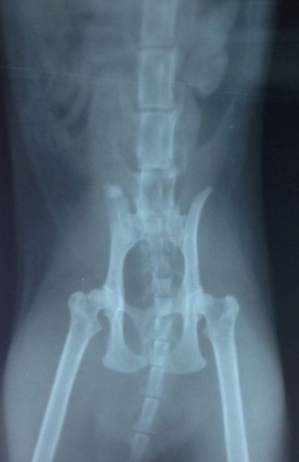
病例:
动物信息:
品种:加菲猫 名字:菲菲 年龄:三岁 性别:雄性
病史:一年前被现在的主人送人,送人半年后出现尿血,主人带到一个动物医院检查,当时未拍摄X光片 及B超检查,诊断为膀胱炎,打几天针有好转,但扔尿血,主人后来没有再带菲菲去医院继续治疗,只是在家饲养,菲菲在家饲养时常出现尿血、尿频、饮食饮水正常。
菲菲因为到处乱排尿,前几天收养人把菲菲还给了原来的主人,好心的主人发现此猫尿血赶紧带到我院来检查,根据菲菲的临床症状我们给它做了B超、X光、血常规检查、生化检查。